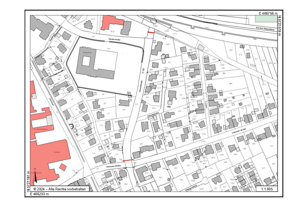
Wanderbaustelle führt zur halbseitigen Sperrung der Haholdstraße

26. November bis 19. Dezember 2025

Im Bereich zwischen dem Wohngebäude Haholdstraße 1 und der Einmündung Völmeder Straße / Haholdstraße 12 in Geseke wird es in den nächsten Tagen zu einer halbseitigen Sperrung kommen. 

Grund hierfür ist die Verlegung von Mittelspannungskabeln in der Haholdstraße. Die Arbeiten werden als sogenannte Wanderbaustelle durchgeführt, wodurch sich der Baustellenbereich im Verlauf der Maßnahme abschnittsweise verlagert. Die Baumaßnahme findet in der Zeit vom 26. November bis zum 19. Dezember 2025 statt. 

Währen der Arbeiten kann es zu Verkehrsbehinderungen kommen. Der Verkehr wird im Baustellenbereich einseitig geführt. 

Es wird um Verständnis für die Einschränkungen während der Bauzeit gebeten.